Zmiany w organizacji ruchu, w ramach przebudowy DP 2152K w Michałowicach
W poniedziałek 9 lutego 2026 r. planowane jest wprowadzenie tymczasowej organizacji ruchu
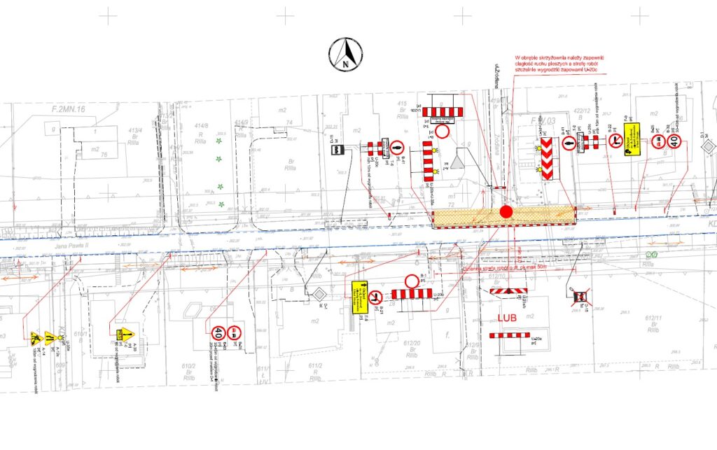
w związku z przebudową drogi powiatowej nr 2152Kw Michałowicach na odcinku 2 km. Zawężona będzie jezdna do 3 m, na długości ok. 50 m. Prace rozpoczną się od wjazdu do P&R.
Kiedy roboty prowadzone będą w obrębie skrzyżowania ul. Jana Pawła II z ul. Źródlaną nastąpi krótkotrwałe zamknięcie (1-2 dni) wlotu ul. Źródlanej, a dojazd do ul. Jana Pawła II będzie możliwy z wykorzystaniem lokalnego układu dróg poprzez ul. Nad Strugą i ul. Krakowską.
W przypadku prowadzenia robót w rejonie skrzyżowania ul. Jana Pawła II z ul. Graniczną przewidziane jest wprowadzenie ręcznego sterowania ruchem.
Plac budowy został przekazany wykonawcy 12 listopada 2025 r. Do tej pory wykonano wycinkę drzew, a aktualnie trwają prace związane z budową kanalizacji sanitarnej, na podstawie odrębnej umowy pomiędzy Gminą Michałowice a wykonawcą. Następnym etapem będzie wykonanie kanalizacji deszczowej.
Zakres przebudowy DP 2152K, na odcinku od km 0+015,90 do km 2+185,90 w Michałowicach obejmuje:
- budowę chodnika;
- przebudowę nawierzchni jezdni;
- budowę sieci kanalizacji deszczowej oraz wylotu sieci kanalizacji deszczowej WK-1 Ø400 do istniejącego rowu;
- przebudowę rowu przydrożnego;
- rozbiórkę rowów przydrożnych lewostronnych w km 0+422.3 – 0+432.7, 0+624.6 – 0+709.2, 0+715.6 – 0+794.2, 0+827.4 – 0+897.0, 0+969.1 – 1+185.6, 1+193.7 – 1+214.1, 1+222.5 – 1+246.1, 1+250.0 – 1+273.4, 1+655.9 – 1+845.0 wraz z 15 przepustami pod zjazdami, w ciągu tych rowów;
- remont nawierzchni jezdni, istniejącego prawostronnego rowu w km 1+846,9 – 2+182,5;
- remont istniejącego pobocza i zjazdów po prawej stronie DP 2152K;
- budowę kanalizacji sanitarnej
Na podstawie porozumienia podpisanego z Gminą Michałowice, postępowanie przetargowe przeprowadzone było przez Zarząd Dróg Powiatu Krakowskiego (ZDPK) na dwa zadania. Podpisano więc dwie umowy: ZDPK umowę na część drogową, natomiast Gmina Michałowice na wykonanie kanalizacji sanitarnej.
Koszt części drogowej wynosi 6 776 990,68 zł i będzie sfinansowany po połowie przez Powiat Krakowski i Gminę Michałowice, natomiast realizację kanalizacji sanitarnej sfinansuje wyłącznie Gmina, a jej koszt wyniesie 1 736 586,76 zł.











