Zmiana organizacji ruchu w Wężerowie
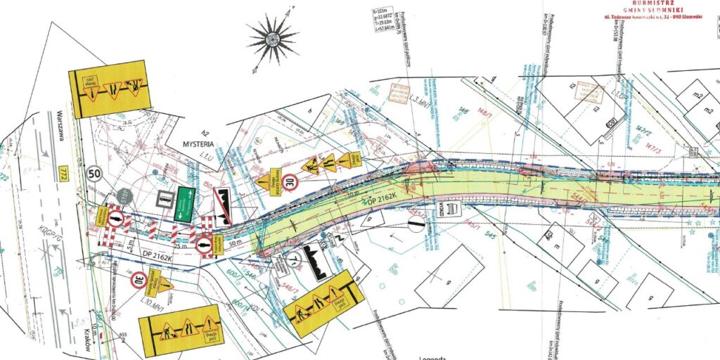
Od 20 stycznia 2026 r. planowane jest wprowadzenie tymczasowej organizacja ruchu, w związku z rozpoczęciem budowy utwardzonego pobocza, w ciągu drogi powiatowej nr 2162K, w miejscowości Wężerów, gminie Słomniki.
Prace będą prowadzone etapami, przy częściowym zawężeniem jezdni. Na każdym etapie robót zostanie zapewniony dwukierunkowy ruch pojazdów. Kiedy zajdzie taka konieczność będzie wprowadzone ręcznie sterowanie ruchem.
Do zakresu inwestycji należą:
- rozbudowa jedni drogi powiatowej poprzez poszerzenie do szer. 6,00 m (droga klasy Z) dla odcinków prostych wraz z poszerzeniem w obrębie łuków poziomych;
- budowa odcinków kanalizacji deszczowej wraz z wbudowaniem korytek betonowych;
- budowa przepustu rurowego pod koroną drogi;
- przebudowa lewostronnego pobocza na pobocze o nawierzchni z kostki brukowej betonowej;
- odmulenie i odcinkowe umocnienia dna i skarp rowów drogowych;
- przebudowa prawostronnego pobocza na pobocze z kruszywa łamanego z podwójnym powierzchniowym utrwaleniem emulsją i grysami;
- przebudowa istniejących zjazdów obejmująca dostosowanie parametrów techniczno-użytkowych do zgodnych z obowiązującymi wytycznymi;
- rozbiórka istniejących ogrodzeń kolidujących z inwestycją;
- zabezpieczenie sieci uzbrojenia terenu;
- rozbiórka i budowa sieci wodociągowej poza obszar kolizji z inwestycją
Rozbudowa drogi powiatowej nr DP 2162K w miejscowości Wężerów obejmie odcinek o długości 390 m. Zadanie współfinansują Powiat Krakowski i Gmina Słomniki. Koszt prac wyniesie 930 399,92 zł.









